Nuevo ciclón amenaza a la India

18

Nuevo ciclón amenaza a la India.

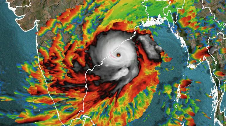
Un ciclón se está formando en el golfo de Bengala, en el este de India, advirtieron los meteorólogos indios el jueves, luego del paso de Tauktae, la tormenta ciclónica más violenta de las últimas décadas en el país, que dejó al menos 110 muertos.

Según el departamento meteorológico indio, la zona de depresión debería formarse de aquí al sábado frente a las costas orientales de India.

Es “muy probable” que el sistema se intensifique de manera progresiva para convertirse en tormenta ciclónica que podría alcanzar los estados de Bengala Occidental y Odisha hacia el 26 de mayo.

El monstruoso ciclón Tauktae barrió los estados costeros del oeste de India el lunes, en momentos en que el país es azotado por una devastadora segunda ola de la epidemia de coronavirus.

Incluso antes de que el ciclón tocase tierra en el estado de Guyarat, ráfagas de hasta 185 km/h y lluvias torrenciales provocaron la muerte de una veintena de personas en el oeste y el sur de India. En Guyarat se registraron al menos 53 muertos, declararon las autoridades locales el miércoles por la noche.

La marina india encontró 37 cuerpos tras el naufragio de un barco de apoyo a instalaciones petroleras afectadas por la tormenta, y 38 personas continuaban desaparecidas.

Pero el balance podría agravarse, según la prensa local, que informó que cerca de 80 personas murieron al derrumbarse casas y muros.

TE PUEDE INTERESAR: Ciclón Tauktae deja muertos y devastación en La India

Nuevo ciclón amenaza a la India

Con información de ContraRéplica https://www.contrareplica.mx/nota-Un-nuevo-ciclon-amenaza-la-India-202120541